Daw'r Gorchymyn hwn i rym ar 16 Ebrill 2014.
Dogfennau
Gorchymyn Cefnffordd yr A465 (Hirwaun, Rhondda Cynon Taf) (Gwahardd Troi i'r Dde) 2014 , math o ffeil: PDF, maint ffeil: 79 KB
PDF
79 KB
Os oes angen fersiwn fwy hygyrch o’r ddogfen hon arnoch, e-bostiwch digidol@llyw.cymru. Dywedwch wrthym pa fformat sydd ei angen. Os ydych yn defnyddio technoleg gynorthwyol, nodwch fanylion.
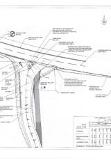
Gorchymyn Cefnffordd yr A465 (Hirwaun, Rhondda Cynon Taf) (Gwahardd Troi i'r Dde) 2014 - cynllun , math o ffeil: PDF, maint ffeil: 745 KB
PDF
745 KB
Os oes angen fersiwn fwy hygyrch o’r ddogfen hon arnoch, e-bostiwch digidol@llyw.cymru. Dywedwch wrthym pa fformat sydd ei angen. Os ydych yn defnyddio technoleg gynorthwyol, nodwch fanylion.
Manylion
Effaith y Gorchymyn yw gwahardd troi i'r dde ar gefnffordd yr A465 i'r gorllewin o Gylchfan Hirwaun yn Rhondda Cynon Taf ac ystyrir bod ei angen ar sail diogelwch ar y ffordd.
