Neidio i'r prif gynnwy

Bydd y Gorchymyn hwn yn cau priffyrdd er mwyn caniatáu gwaith datblygu arnynt yn unol â chaniatâd cynllunio a roddir gan yr Awdurdod Lleol.

Cyhoeddwyd gyntaf:
8 Ionawr 2016
Diweddarwyd ddiwethaf:

Dogfennau

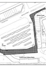
Gorchymyn Cau Priffyrdd (Yr Orsaf Fysiau Ganolog, Stryd Wood a’r Sgwâr Canolog, Caerdydd - Cam 2) 2016. , Saesneg yn unig, math o ffeil: PDF, maint ffeil: 223 KB

PDF
Saesneg yn unig
223 KB
Os oes angen fersiwn fwy hygyrch o’r ddogfen hon arnoch, e-bostiwch digidol@llyw.cymru. Dywedwch wrthym pa fformat sydd ei angen. Os ydych yn defnyddio technoleg gynorthwyol, nodwch fanylion.

Gorchymyn Cau Priffyrdd (Yr Orsaf Fysiau Ganolog, Stryd Wood a’r Sgwâr Canolog, Caerdydd - Cam 2) 2016 Cynllun. , Saesneg yn unig, math o ffeil: PDF, maint ffeil: 148 KB

PDF
Saesneg yn unig
148 KB
Os oes angen fersiwn fwy hygyrch o’r ddogfen hon arnoch, e-bostiwch digidol@llyw.cymru. Dywedwch wrthym pa fformat sydd ei angen. Os ydych yn defnyddio technoleg gynorthwyol, nodwch fanylion.