Bydd y Gorchymyn hwn yn cau priffyrdd er mwyn caniatáu gwaith datblygu arnynt yn unol â chaniatâd cynllunio a roddir gan yr Awdurdod Lleol.
Dogfennau
Gorchymyn Cau Priffyrdd (Troetffordd ac Ymyl ym Mryngolwg a Brynawelon, Cwm-bach, Aberdâr, Rhondda Cynon Taf) 201- (drafft) , math o ffeil: PDF, maint ffeil: 148 KB
PDF
148 KB
Os oes angen fersiwn fwy hygyrch o’r ddogfen hon arnoch, e-bostiwch digidol@llyw.cymru. Dywedwch wrthym pa fformat sydd ei angen. Os ydych yn defnyddio technoleg gynorthwyol, nodwch fanylion.
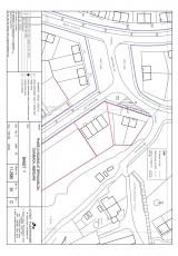
Gorchymyn Cau Priffyrdd (Troetffordd ac Ymyl ym Mryngolwg a Brynawelon, Cwm-bach, Aberdâr, Rhondda Cynon Taf) 201- (drafft) - cynllun 1 , Saesneg yn unig, math o ffeil: PDF, maint ffeil: 104 KB
PDF
Saesneg yn unig
104 KB
Os oes angen fersiwn fwy hygyrch o’r ddogfen hon arnoch, e-bostiwch digidol@llyw.cymru. Dywedwch wrthym pa fformat sydd ei angen. Os ydych yn defnyddio technoleg gynorthwyol, nodwch fanylion.
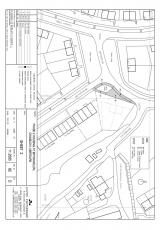
Gorchymyn Cau Priffyrdd (Troetffordd ac Ymyl ym Mryngolwg a Brynawelon, Cwm-bach, Aberdâr, Rhondda Cynon Taf) 201- (drafft) - cynllun 2 , Saesneg yn unig, math o ffeil: PDF, maint ffeil: 88 KB
PDF
Saesneg yn unig
88 KB
Os oes angen fersiwn fwy hygyrch o’r ddogfen hon arnoch, e-bostiwch digidol@llyw.cymru. Dywedwch wrthym pa fformat sydd ei angen. Os ydych yn defnyddio technoleg gynorthwyol, nodwch fanylion.
Manylion
Mae'r Gorchymyn hwn yn ofynnol er mwyn galluogi'r gwaith o adeiladu 25 o dai anghenion cyffredinol a 12 o randai anghenion cyffredinol yn rhifau 40 - 44 Brynawelon a rhifau 67 a 68 Bryngolwg, Cwm-bach, Aberdâr CF44 0DG.
