Bydd y Gorchymyn hwn yn cau priffyrdd er mwyn caniatáu gwaith datblygu arnynt yn unol â chaniatâd cynllunio a roddir gan yr Awdurdod Lleol.
Dogfennau
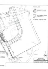
Gorchymyn Cau Priffyrdd (Tir Cyfagos i'r A478 yn Begelly Park Gardens, Begeli, Sir Benfro) 2016. , Saesneg yn unig, math o ffeil: PDF, maint ffeil: 212 KB
PDF
Saesneg yn unig
212 KB
Os oes angen fersiwn fwy hygyrch o’r ddogfen hon arnoch, e-bostiwch digidol@llyw.cymru. Dywedwch wrthym pa fformat sydd ei angen. Os ydych yn defnyddio technoleg gynorthwyol, nodwch fanylion.
Gorchymyn Cau Priffyrdd (Tir Cyfagos i'r A478 yn Begelly Park Gardens, Begeli, Sir Benfro) 2016. , Saesneg yn unig, math o ffeil: PDF, maint ffeil: 883 KB
PDF
Saesneg yn unig
883 KB
Os oes angen fersiwn fwy hygyrch o’r ddogfen hon arnoch, e-bostiwch digidol@llyw.cymru. Dywedwch wrthym pa fformat sydd ei angen. Os ydych yn defnyddio technoleg gynorthwyol, nodwch fanylion.
