Bydd y gorchymyn hwn yn cau priffyrdd er mwyn caniatáu gwaith datblygu arnynt yn unol â chaniatâd cynllunio a roddir gan yr awdurdod lleol.
Dogfennau
Gorchymyn Cau Priffyrdd (Tir ar Gornel Ffordd y Dderwen a De Ffordd yr Abaty, Ystad Ddiwydiannol Wrecsam, Wrecsam) 2019 , math o ffeil: PDF, maint ffeil: 337 KB
PDF
337 KB
Os oes angen fersiwn fwy hygyrch o’r ddogfen hon arnoch, e-bostiwch digidol@llyw.cymru. Dywedwch wrthym pa fformat sydd ei angen. Os ydych yn defnyddio technoleg gynorthwyol, nodwch fanylion.
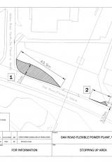
Gorchymyn Cau Priffyrdd (Tir ar Gornel Ffordd y Dderwen a De Ffordd yr Abaty, Ystad Ddiwydiannol Wrecsam, Wrecsam) 2019 - cynllun , math o ffeil: PDF, maint ffeil: 143 KB
PDF
143 KB
Os oes angen fersiwn fwy hygyrch o’r ddogfen hon arnoch, e-bostiwch digidol@llyw.cymru. Dywedwch wrthym pa fformat sydd ei angen. Os ydych yn defnyddio technoleg gynorthwyol, nodwch fanylion.
Manylion
Y datblygiad yw codi gorsaf bŵer 9.9 MW sy’n defnyddio tanwydd nwy a seilwaith cysylltiedig ar dir ar gornel Ffordd y Dderwen a De Ffordd yr Abaty, Ystad Ddiwydiannol Wrecsam, Wrecsam.
