Neidio i'r prif gynnwy

Bydd y Gorchymyn hwn yn cau priffyrdd er mwyn caniatáu gwaith datblygu arnynt yn unol a chaniatâd cynllunio a roddir gan yr awdurdod yr Awdurdod Lleol.

Darllen manylion ar y ddalen hon

Cyhoeddwyd gyntaf:
23 Gorffennaf 2012
Diweddarwyd ddiwethaf:

Dogfennau

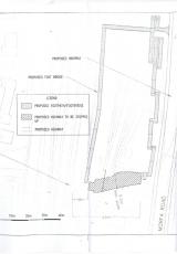
Gorchymyn Cau Priffyrdd (Priffordd ddienw rhwng Stryd Maliphant a Heol Morfa, Hafod, Abertawe) 2012 (2012 No. 35) , math o ffeil: PDF, maint ffeil: 92 KB

PDF
92 KB
Os oes angen fersiwn fwy hygyrch o’r ddogfen hon arnoch, e-bostiwch digidol@llyw.cymru. Dywedwch wrthym pa fformat sydd ei angen. Os ydych yn defnyddio technoleg gynorthwyol, nodwch fanylion.

Gorchymyn Cau Priffyrdd (Priffordd ddienw rhwng Stryd Maliphant a Heol Morfa, Hafod, Abertawe) 2012 (2012 No. 35) - cynllun , math o ffeil: PDF, maint ffeil: 1 MB

PDF
1 MB
Os oes angen fersiwn fwy hygyrch o’r ddogfen hon arnoch, e-bostiwch digidol@llyw.cymru. Dywedwch wrthym pa fformat sydd ei angen. Os ydych yn defnyddio technoleg gynorthwyol, nodwch fanylion.

Manylion

Bydd y Gorchymyn hwn yn Adeiladu Canolfan Gynnal ar gyfer y Rhaglen Intercity Express, yn unol â chaniatâd cynllunio a roddwyd gan y Cygnor o dan Ran III o Ddeddf 1990, a Chwefror 2012 o dan y cyfeirnod 2011/1305.