Bydd y Gorchymyn hwn yn cau priffyrdd er mwyn caniatáu gwaith datblygu arnynt yn unol â chaniatâd cynllunio a roddir gan yr Awdurdod Lleol.
Dogfennau
Gorchymyn Cau Priffyrdd (Ffordd Gyswllt Chimneys, Abergwaun, Sir Benfro) 2018 , Saesneg yn unig, math o ffeil: PDF, maint ffeil: 257 KB
PDF
Saesneg yn unig
257 KB
Os oes angen fersiwn fwy hygyrch o’r ddogfen hon arnoch, e-bostiwch digidol@llyw.cymru. Dywedwch wrthym pa fformat sydd ei angen. Os ydych yn defnyddio technoleg gynorthwyol, nodwch fanylion.
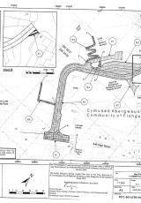
Gorchymyn Cau Priffyrdd (Ffordd Gyswllt Chimneys, Abergwaun, Sir Benfro) 2018 - Cynllun , Saesneg yn unig, math o ffeil: PDF, maint ffeil: 159 KB
PDF
Saesneg yn unig
159 KB
Os oes angen fersiwn fwy hygyrch o’r ddogfen hon arnoch, e-bostiwch digidol@llyw.cymru. Dywedwch wrthym pa fformat sydd ei angen. Os ydych yn defnyddio technoleg gynorthwyol, nodwch fanylion.
